Casos Clínicos

El sistema endocrino regula funciones vitales a través de hormonas, y en el centro de medicina nuclear, nos enfocamos en el estudio de:

El Pertenectato de sodio (99mTc) se produce a partir de un generador (99Mo/99mTc). El tecnecio-99m es un isótopo trazador radiactivo que se utiliza  en Medicina Nuclear con fines de diagnóstico  Un isotopo es un elemento químico que tiene igual  número de protones con diferente número de neutrones. La energía de sus rayos gamma  es de 140 keV que es la adecuada para la detección y concentración en los órganos de interés.

 

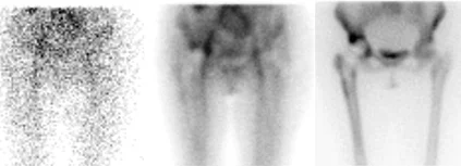
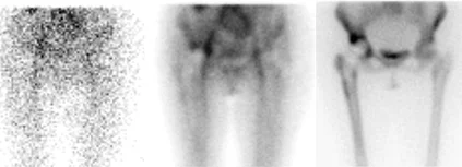
Paciente masculino de 80 años de edad con antecedente de reemplazo total de cadera derecha hace 3 años. Hace 1 año inicia dificultad para la deambulación acompañado de dolor de moderada intensidad en cadera derecha. Es evaluado por sospecha de infección periprotesica.

En la gammagrafía ósea de tres fases evidenciamos hipercaptación en la porción femoral lateral y cabeza femoral derecha, sugestivo de infección periprotesica femoral derecha.

Paciente femenina de 67 años de edad con antecedente de reemplazo bilateral de rodillas hace 4 años.  Hace 6 meses inicia con dolor de fuerte intensidad en la rodilla derecha, acompañada de edema y eritema.  La izquierda no presenta ninguna sintomatología.

La gammagrafía ósea trifasica es positiva (fase vascular, tisular y tardía) lo que nos indica una probable osteomielitis periprotesica de rodilla derecha.

Especialistas en estudios diagnósticos con radioisótopos tecnecio 99m y tratamientos con Yodo 131
Contáctanos

Copyright © Centro de medicina Nuclear de El Salvador 2026. todos los derechos reservados

Centro de Medicina Nuclear de El Salvador
Privacy Overview

This website uses cookies so that we can provide you with the best user experience possible. Cookie information is stored in your browser and performs functions such as recognising you when you return to our website and helping our team to understand which sections of the website you find most interesting and useful.